-
8
-
5
-
5
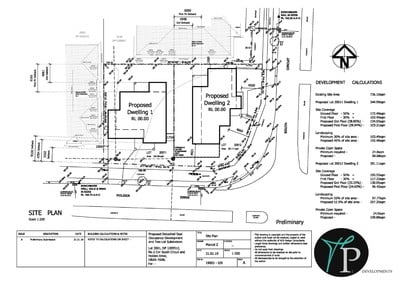
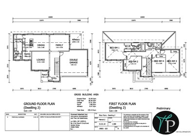
ORAN PARK NSW 2570
Design and construct dual occupancy
Scope of Project Management Services
The scope of Project Management services to be provided are outlined below:
*
Prepare project plan, project budget and project schedule in consultation with the Developer that identifies project outcomes and deliverables based on realistic timeline;
*
Prepare development acquisition, engage project consultants, management of design concept;
*
Lodgment of development acquisition, engagement with Council planners;
*
Coordinate the preparation of Construction Certificate drawings and documentation required to obtain Construction Certificate;
*
Procure suitably qualified and experienced Principal Certifying Authority;
*
Coordinate preparation of tender documentation to obtain Builders quotations;
*
Evaluate Builders quotations and seek Developer approval;
*
Project manage building construction and progress payments;
*
Coordinate subdivision registration;
*
Identify potential issues as well as addressing any issues that arises by recommending possible options available to mitigate them; and
*
Management of Sale and settlement process.
We will assist our client to achieve the best possible development outcomes for 2 Holden Drive, Oran Park NSW 2570.
For similar project appointments please contact our office on 02 9953 1039.
The scope of Project Management services to be provided are outlined below:
*
Prepare project plan, project budget and project schedule in consultation with the Developer that identifies project outcomes and deliverables based on realistic timeline;
*
Prepare development acquisition, engage project consultants, management of design concept;
*
Lodgment of development acquisition, engagement with Council planners;
*
Coordinate the preparation of Construction Certificate drawings and documentation required to obtain Construction Certificate;
*
Procure suitably qualified and experienced Principal Certifying Authority;
*
Coordinate preparation of tender documentation to obtain Builders quotations;
*
Evaluate Builders quotations and seek Developer approval;
*
Project manage building construction and progress payments;
*
Coordinate subdivision registration;
*
Identify potential issues as well as addressing any issues that arises by recommending possible options available to mitigate them; and
*
Management of Sale and settlement process.
We will assist our client to achieve the best possible development outcomes for 2 Holden Drive, Oran Park NSW 2570.
For similar project appointments please contact our office on 02 9953 1039.
